Back to overview

Neubau Spital Wolhusen, Spitalstrasse

Ort
Wohlhusen
Kunde
Gemeinde Wolhusen, Luzerner Kantonsspital LUKS
Bausumme
1.1 Mio. CHF
Zeitraum
2018
2023
Projektnummer
4.1843.10
Tätigkeitsfelder
Infrastruktur;Kunstbauten und Brückenbau;Strassenbau;Mobilität & Verkehr;Verkehrsplanung;Öffentlicher Verkehr
Erbrachte Leistungen
Gutachten Tempo 30
Variantenstudie zu Verkehrsführung und Schulwegsicherheit
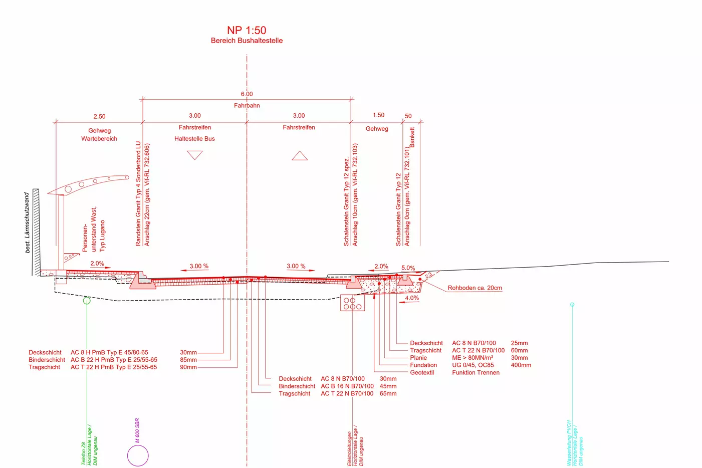
Projektierung von 4 behindertengerechten Haltekanten
Werkleitungsplanung
Digitales Geländemodell
Charakteristische Angaben
350 Meter Gemeindestrasse 2. Kategorie
Verbreiterung Gehweg auf 2.5 Meter
Erschliessung Kantonsspital und Wohnquartiere
Verkehrsorientierte Strasse mit abweichender Höchstgeschwindigkeit
4 behindertengerechte Bushaltekanten

Projektbeschrieb

Das Luzernern Kantonsspital plant am Standort Wolhusen einen Ersatzneubau. Das mehrstöckige Spitalgebäude mit einigen Unterniveaubauten soll durch einen dreigeschossigen Bau am Standort der heutigen Parkierungsanlagen ersetzt werden. Diese Massnahme hat einige Veränderungen der Infrastruktur zur Folge. So muss die Haltestelle des öffentlichen Verkehrs verschoben werden, Haupterschliessung, Zufahrten Parkierungsanlagen sowie Vorfahrt Rettungsdienst werden neu angeordnet und die Langsamverkehrswege teilweise umgeleitet. Die optimale Anbindung des Spitalneubaus an das bestehende Verkehrs- und Wegnetz erfordert deshalb einige Anpassungen an der Spitalstrasse.

Die vorgesehene Anordnung der Grundstückserschliessungen führt zu einer Temporeduktion auf der Spitalstrasse (Gemeindestrasse 2. Kategorie). Mit einer Höchstgeschwindigkeit von 30 km/h können die minimalen Sichtweiten eingehalten werden. Diese Massnahme deckt sich auch mit dem Anliegen der Bewohner der Quartiere im "Spitalgebiet". In einer Petition von 2012 forderten bereits 85% der Anwohner eine Tempo-30-Zone ab dem Ankenberg über alle Wohnquartiere.

In Varianten wurde die optimale Linienführung der Spitalstrasse erarbeitet. Für die neue Lage der Bushaltestellen und des Warteraums soll ausreichend Platz zur Verfügung stehen. Die Fusswege werden zudem auf 2.0 beziehungsweise auf 2.5 Meter verbreitert. Durch den Abbruch des Schützenhauses besteht zudem die Möglichkeit eines moderateren Richtungswechsel mit ausreichend Sicht auf die Schulwege und Strassenübergänge. Ein wichtiger Aspekt in Linienwahl und Ausrüstung der Strasse spielt auch der Rettungsdienst des LUKS.

Sie befinden sich hier: